★ 휴대폰 → 맨아래 "pc화면" 보기로 하셔요 / ♥ 상담시 "매물번호" 를 주셔요 / ☞ "매물검색"란에 "급매,분양,농지원부,양봉"등 단어입력 하셔도 좋아요
아파트
주택/상가주택
원룸.투룸.쓰리룸
상가/사무실
농지
임야
대지.개발지
공장, 창고, 기타
태양광, 축사
농지원부양봉묘터
박언영
054-533-2269
010-4085-7844
5월 18일부터 농지 취득자격 심사가 대폭 강화됩니다
임대차 신고제 계도기간 연장
토지소유자 주소 달라도 토지합병가능해진다
다음달 전국 오피스텔 분양 봇물…25개 단지, 9천269실 대기
작년 오른 집값 100만원 중 22만원은 강남 따라 올랐다
오늘
1,956
전체
2,335,208
가장동
개운동
거동동
계산동
낙상동
낙양동
남성동
남장동
남적동
냉림동
도남동
만산동
무양동
병성동
복룡동
부원동
서곡동
서문동
서성동
성동동
성하동
신봉동
양촌동
연원동
오대동
외답동
인봉동
인평동
죽전동
중덕동
지천동
초산동
헌신동
화개동
화산동
흥각동
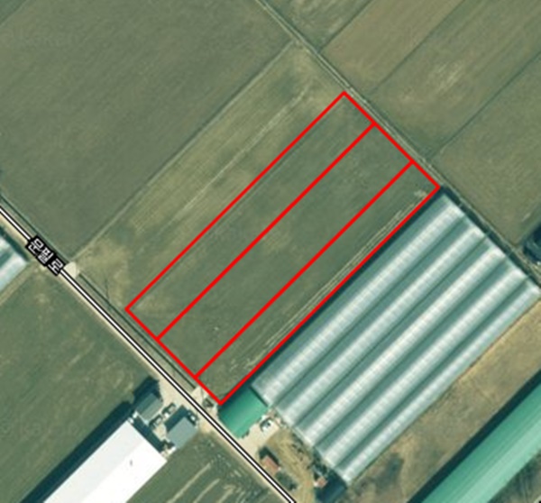
[8625] 흥각동/논
조회 : 1382
매물정보 Basic Information
매물번호
8625
매물분류
농지
매매가
19845
만원
소재지
경북 상주시 흥각동
면적
4,374㎡(평)
관리비
준공년도
입주일자
주차대수
010
011
019
016
017
018
-
-
매물특징 및 홍보사항 Selling and Promotional Point
농업진흥
부동산광고법 관련표시
부동산상호
대박부동산
부동산대표자
박언영
부동산소재지
상주시 상서문 2길 21
대표전화
010-4085-7844. 054-533-2269
현재매물의 대체매물
공성면초오리/주택+전
5000
대지873㎡(264평) / 건물0㎡(0평)
모동면반계리/주택
35000
대지2876㎡(870평) / 건물132㎡(40평)
낙양동/주택
11000
대지116㎡(35평) / 건물50㎡(15평)
모동면신천리/주택
5500
대지248㎡(75평) / 건물83㎡(25평)
인평동/전 보전관리
24600
813㎡(246평)
연원동/논 지분매매
18200
1,504㎡(455평)
청리면마공리/나대지
36380
707㎡(214평)
흥각동/논
19845
4,374㎡(1323평)
영신동416-4/커피숍
160000
대지2026㎡(613평) / 건물3240㎡(980평)
개운동/논 자연녹지
5430
598㎡(181평)
내서면신촌리/농지
15940
4,390㎡(1328평)
낙양동/지엘리베라움
26500
공급
89㎡
(27평) /실
63㎡
(19평)
화동면이소리/주택
12500
대지628㎡(190평) / 건물56㎡(17평)
이안면소암리532-2/논
23760
4,760㎡(1440평)
마성면오천리/공장
45305
대지2304㎡(697평) / 건물496㎡(150평)
성동동/성동경희 23평
13500
공급
72㎡
(22평) /실
59㎡
(18평)
공성면봉산리/논
11286
4,145㎡(1254평)
공평동728/전 계획
35220
3,881㎡(1174평)
낙동면용포리1162.1213/
200
1,203㎡(364평)
공검면오태리산61/임
24910
8,235㎡(2491평)
<<
1
2
3
4
5
6
7
8
9
10
>
>>
사벌면덕가리/주택+전+임야
성동동/논
화남면평온리/학교
냉림동/상가임대 1층20평
남성동/상가+주택
만산동/전 개발지 자연녹지
화동면신촌리/주택+샤인9년
Mobile버전